O'Brien's Cay

And Thunderball Grotto, Swimming Pigs, and Lee Stocking Island!

Blog #24: January 13, 2019:

The wind lessened a bit, so we decided to try for O'Brien's Cay. We should have waited. It took us from 7:30 to 4 to go 20 miles.  The winds were 17-22 knots, and it was rough going, but we persevered. 

We anchored by Chaos and Luna Sea, and dove the Sea Aquarium. It's a protected area, and the life there is amazing! John brought some bread and fed the Sergeant Majors (or pintanos, a type of damselfish):

O’Brien’s Cay Sea Aquarium

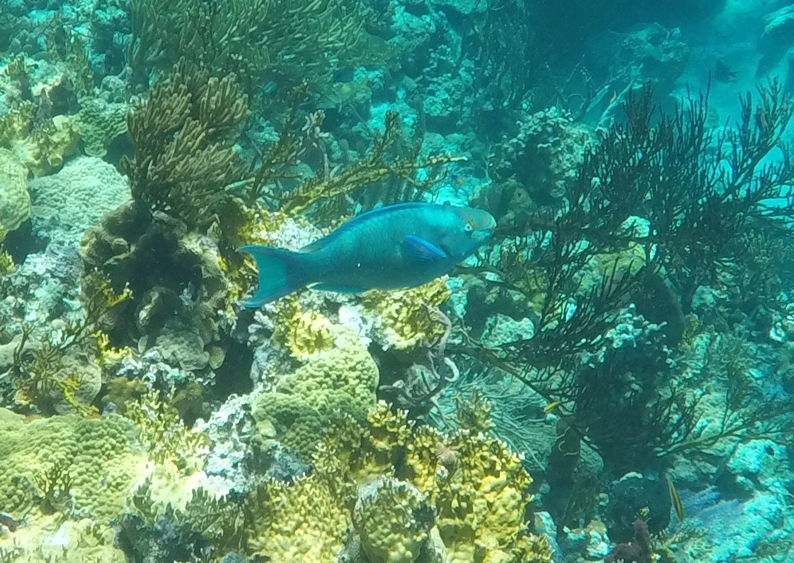
Blue Parrotfish

Foureye Butterflyfish

Yellow Tube Sponge

Corals

Christmas Tree Worms on coral

Netted Barrel Sponge and Sea Rods

Blue Parrotfish

Then we went a short distance, and snorkeled a plane wreck:

Here's a Queen Angelfish:

You can hear this Stoplight Parrotfish crunching coral!

A beautiful Queen Triggerfish and a Squirrelfish:

The Chaos and Luna Sea members came over to our boat for tacos. It's a good thing that Wendy had more tortillas, because when we got back from snorkeling we discovered that Nikki had eaten our tortillas! Seven people make As You Wish quite crowded, but we had a good time!

After dinner, all of us but Wendy went on a night snorkel: so cool!  The 2 foot wide Bristle Stars were out, and so were some maroon and white Banded Shrimp. Dean saw a squid, swam too close, and got inked!

Johnny Depp owns a nearby island.  We saw a helicopter land on a different one, but there's more than one house on there (they have to share their island, how rough! Ha ha). What's great about cruising is that we have the same view, if not better, than they do!

January 15, 2019: Staniel Cay!

Teddy, Nikki and John at Staniel Cay

Sea Grapes and fishing floats

The “dinghy harbor” in front of the Staniel Cay Yacht Club

Yesterday was basically a repeat of the day before: lots of snorkeling! Today we sailed to Staniel Cay, and the current is really strong here. We went to shore to pick up some groceries.  They have The Pink Store and The Blue Store.  We chose the pink one.  We found what we needed (fresh fruits and veggies). At the Staniel Cay Yacht Club, we got a table near the window where we could keep an eye on Nikki and Teddy who were tied outside. For $16 apiece, we got a very delicious fish sandwich with a side of rice and peas. 

Then we motored over to the famous Swimming Pigs Beach.

Swimming Pig Beach

John’s picture of “me and a pig”.

John was delighted, not so much with the pigs, but with other sights at the beach. 

Pig Beach in the Bahamas

The 1965 James Bond 007 film Thunderball starring Sean Connery was filmed at nearby Thunderball Grotto. It was so much fun to snorkel it! There are even little bats hanging from the ceiling of the grotto. Dean, Wendy, Kent, Betty and Jodi all joined us. We saw a fat, 5' long barracuda, like the stuffed one on the wall of the yacht club.

Near Thunderball Grotto

Later we went back into town, and I saw and touched my first breadfruit tree! Ever since reading about breadfruit in fourth grade social studies, I've wanted to try some. This breadfruit wasn't ripe yet, so that's still on my bucket list.  Near the hardware store is a bridge with several No Fishing signs, and below were hundreds of 18" bonefish! They were fun to watch.

We went with Dean and Wendy to the Staniel Cay Yacht Club for drinks and appetizers.  A dozen people were clustered near the water there: they were petting the nurse sharks! It was too dark to take pictures, but I petted them too. I've got to come back when it's light! The four of us got two appetizers and three Bahama Mamas: $80! Ouch. Lunch there is much more reasonable.

Dean had caught a small barracuda, and he grilled that with lime, salt and pepper: delicious! The rest of us brought salads.  I know you're thinking "What?! You just told us barracuda carry ciguatera!" We've heard that they're okay under 30" because they haven't had time to get a build up of ciguatera, although I won't make any guarantee.  The odd thing is this: if you look up ciguatera, it will tell you to avoid barracuda, grouper, and some other fish. However, almost every restaurant in the Bahamas serves grouper! And I know the Bahamians take the barracuda home, but whether they eat it themselves or feed it to their pets, I don't know.  Anyways, ours was delicious, and we didn't get sick.

January 16, 2019:

A great day so far!  We went back to the Staniel Cay Yacht Club, and I GOT IN THE WATER WITH THE NURSE SHARKS! 

I've got to admit, that was really fun! And as I got out of the water, a young boy was staring at me with a completely shocked/in awe expression. Priceless!

Later we sailed to Great Guana Cay.  We anchored just to the north of Oven Rock, as there is a trail off the beach that leads to a cave, and we were ready to do some exploring. There's a rock cairn that marks the start of the trail on the edge of the beach. It took us about ten minutes to walk to the cave entrance. Inside the large entrance are stalactites and stalagmites, a small underground pond, and a few bats. It was cool and refreshing inside.

Oven Rock

Cave entrance on Great Guana Cay

Underground pond on Great Guana Cay

Underground cave on Great Guana Cay

On Great Guana Cay

Oh, and the beach has the weirdest sand: it reminds me of Rice-A-Roni!

Sand on Great Guana Cay

And here are several beautiful sunset shots of our boats:

As You Wish

Sunset at Great Guana Cay

As You Wish, Chaos, and Luna Sea

January 17, 2019:

Lee Stocking Island

We sailed to Lee Stocking Island, and dinghied to a small beach for some sun bathing.  Then we went along the shore, and were going to "tour" the deserted research center, but a guard/caretaker was there. Instead, we stopped and talked to Patrick and Laura on Somewhere. They're from Yellow Pines, Idaho! What's with everyone from the Pacific Northwest here instead of droves from Minnesota? (If anyone needs a tropical vacation, it's the Minnesotans!)

On another beach, and we found five coconuts, and John de-husked them on the beach; not an easy task.  Then we joined Jodi snorkeling, and saw so many of the huge Southern Stingrays! (And...no camera.) We got back to the boat and John caught Nikki on our counter--all four feet!--eating the cat's food. He yelled so loud at her that she shouldn't be doing that again any time soon. 

"Where's my food?"

Betty paddling back to Luna Sea

Anchor light on! Goodnight!

The Marina at Emerald Bay

Join us next time in "The Marina at Emerald Bay"

Previous
Previous

The Marina at Emerald Bay

Next
Next

Happy New Year!